_Holzschuh_Greece_Magnisia_Othrys.jpg)
Specimen Type: holotype Sex: m Institution: Holzschuh Collection Determiner: Entomologica Basiliensa Collection Location: Magnisia, Othrys, Greece 62203
|
_Holzschuh_SWBulgaria_Struma_River_Mesta.jpg)
Sex: f Collection Location: Struma River, Mesta, SW Bulgaria 62201
|
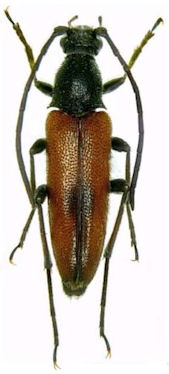
_Holzschuh_SWBulgaria_Pirin_Struma_River.jpg)
Sex: f Collection Location: Struma River, Mesta, SW Bulgaria 62202
|
|