 Bates BMNH Tefe (Ega), Amazonas, Brazil Moure.jpg)
Specimen Type: syntype Institution: MNHN Museum of Natural History Paris, France Photographer: JS Moure Collection Location: Tefé (originally Ega), Amazonas, Brazil 15751
|

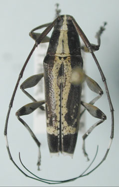
Institution: FTH Frank T. Hovore collection (now at California Academy of Sciences) Photographer: Larry G. Bezark Collection Location: Ecuador 5878
|