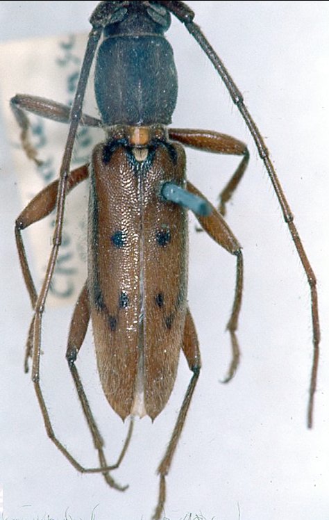
 Bates MNHN Santo Domingo, Chontales, Nicaragua now sur Moure.jpg)
Specimen Type: syntype Institution: MNHN Museum of Natural History Paris, France Photographer: JS Moure Collection Location: Santo Domingo, Chontales, Nicaragua 75864
|
_FSCA.jpg)
Institution: FSCA Florida State Collection of Arthropods, Gainesville, FL, USA Photographer: Mike Thomas 29
|