_Fabr_Nearns_now_Carterica_mucronata.jpg)
Saperda tenuicornis Fabricius Specimen Type: holotype Sex: f Institution: ZMUC University of Copenhagen, Zoological Museum, København, Denmark Photographer: Gino Nearns Collection Location: America Meridionali 42532
|
 Pascoe BMNH Para, Brazil now mucro Moure.jpg)
Carterica cinctipennis Pascoe Specimen Type: holotype Institution: BMNH British Museum Natural History, London, UK Photographer: JS Moure Collection Location: Para, Brazil 95550
|
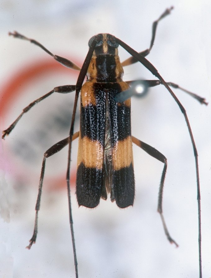
_Pascoe_BMNH_Para_Brazil_now_mucronata_LGB.jpg)
Carterica cinctipennis Pascoe Specimen Type: holotype Institution: BMNH British Museum Natural History, London, UK Photographer: Larry G. Bezark Collection Location: Para, Brazil 46479
|
_Pascoe_BMNH_Para_Brazil_now_mucronata_LGB.jpg)
Carterica cinctipennis Pascoe Specimen Type: holotype Institution: BMNH British Museum Natural History, London, UK Photographer: Larry G. Bezark Collection Location: Para, Brazil 46480
|
 Thomson MNHN Cayenne, French Guiana now mucro Moure.jpg)
Carterica colobotheoides Thomson Specimen Type: holotype Institution: MNHN Museum of Natural History Paris, France Photographer: JS Moure Collection Location: Cayenne, French Guiana 95551
|
_Fr_Guiana_Faure.jpg)
Photographer: Denis Faure Collection Location: French Guiana 28625
|

Photographer: Jean-Louis Giuglaris Collection Location: Belizon, French Guiana 28626
|
_LGB.jpg)
Photographer: Larry G. Bezark 5415
|
_Brasil_RO_Det_Santos-Silva_LGB.jpg)
Photographer: Larry G. Bezark Determiner: Santos-Silva Collection Location: Rondonia, Brazil 24539
|
_Brasil_RO_Det_Santos-Silva_LGB.jpg)
Photographer: Larry G. Bezark Determiner: Santos-Silva Collection Location: Rondonia, Brazil 24540
|
_Brasil_Roraima_Det_Santos-Silva_LGB.jpg)
Photographer: Larry G. Bezark Determiner: Santos-Silva Collection Location: Roraima, Brazil 24541
|
_Brasil_Roraima_Det_Santos-Silva_LGB.jpg)
Photographer: Larry G. Bezark Determiner: Santos-Silva Collection Location: Roraima, Brazil 24542
|
_(Olivier)_SS.jpg)
Sex: m Photographer: Antonio Santos-Silva 66004
|
_(Olivier)_SS.jpg)
Sex: m Photographer: Antonio Santos-Silva 66005
|
_(Olivier)_SS.jpg)
Sex: m Photographer: Antonio Santos-Silva 66006
|
_(Olivier)_SS.jpg)
Sex: f Photographer: Antonio Santos-Silva 66007
|
_(Olivier)_SS.jpg)
Sex: f Photographer: Antonio Santos-Silva 66008
|