New Search Family, Subfamily and Tribe List

SubFamily Lamiinae

Tribe Acanthocinini
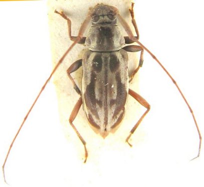
Eucharitolus dorcadioides (White, 1855)

Leiopus dorcadioides White
Specimen Type: lectotype
Institution: BMNH British Museum Natural History, London, UK
Photographer: Larry G. Bezark
Collection Location: Tefé (originally Ega), Amazonas, Brazil
46962


Leiopus dorcadioides White
Specimen Type: holotype
Institution: BMNH British Museum Natural History, London, UK
Photographer: JS Moure
Collection Location: Tefé (originally Ega), Amazonas, Brazil
17024


Photographer: Jean-Louis Giuglaris
Collection Location: Belizon, French Guiana
29429


Photographer: Jim Wappes
Collection Location: Bolivia
14647


Institution: EMG Ed Giesbert Collection (now at FSCA)
Collection Location: Buena Vista, Santa Cruz, Bolivia
14648


Sex: f
Institution: MZSP 60917
Photographer: Antonio Santos-Silva
Collection Location: Bom Jesus do Araguaia, Mato Grosso, Brazil
96182


Sex: m
36277


Sex: f
36278

130425