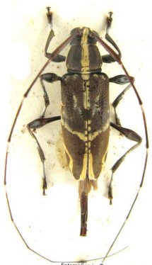
 Bates MNHN banks of the Tapajos, Para, Brazil Moure.jpg)
Specimen Type: syntype Sex: f Institution: MNHN Museum of Natural History Paris, France Photographer: JS Moure Collection Location: banks of the Tapajos, Para, Brazil 100471
|

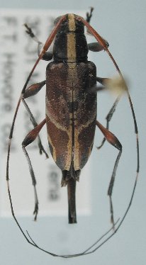
Photographer: Jean-Louis Giuglaris Collection Location: Belizon, French Guiana 29399
|

14212
|

Sex: m Photographer: Denis Faure Collection Location: French Guiana 26672
|
_Napo_Ecuador_FTH_LGB.jpg)
Sex: f Photographer: Larry G. Bezark Collection Location: Napo, Ecuador 26673
|
_Napo_Ecuador_FTH_LGB.jpg)
Sex: f Photographer: Larry G. Bezark Collection Location: Napo, Ecuador 26674
|
_Napo_Ecuador_FTH_LGB.jpg)
Sex: m Photographer: Larry G. Bezark Collection Location: Napo, Ecuador 26675
|