New Search Family, Subfamily and Tribe List

SubFamily Lamiinae

Tribe Acanthocinini
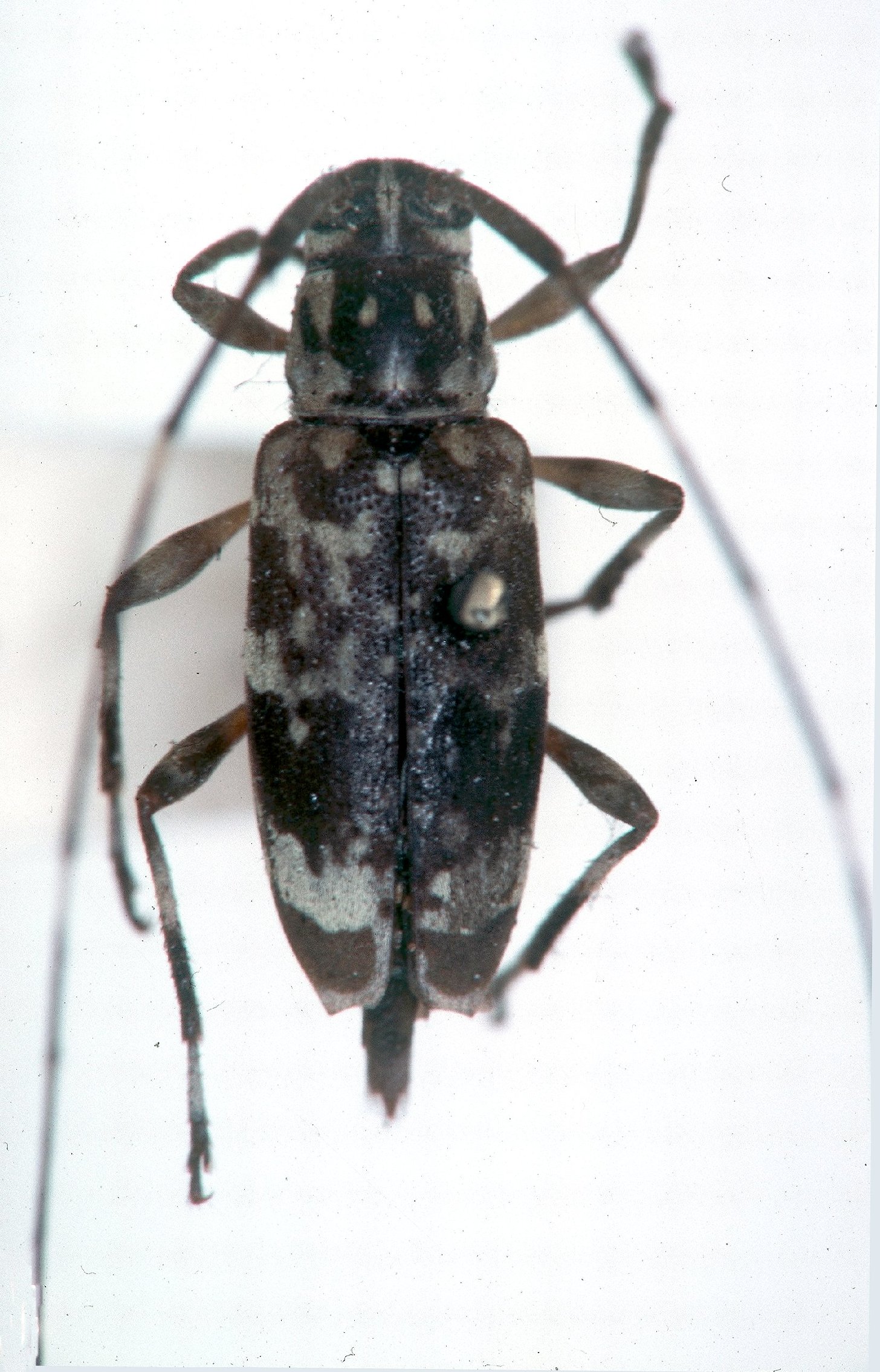
Toronaeus incisus (Bates, 1864)

Nyssodrys incisa Bates
Specimen Type: holotype
Sex: f
Institution: MNHN Museum of Natural History Paris, France
Photographer: JS Moure
Collection Location: Tefe (originally Ega), Amazonas, Brazil
100359


Nyssodrys incisa Bates
Specimen Type: holotype
Sex: f
Institution: MNHN Museum of Natural History Paris, France
Photographer: Frank T. Hovore
Collection Location: Tefe (originally Ega), Amazonas, Brazil
17550


Photographer: Jean-Louis Giuglaris
Collection Location: Belizon, French Guiana
29398

130425