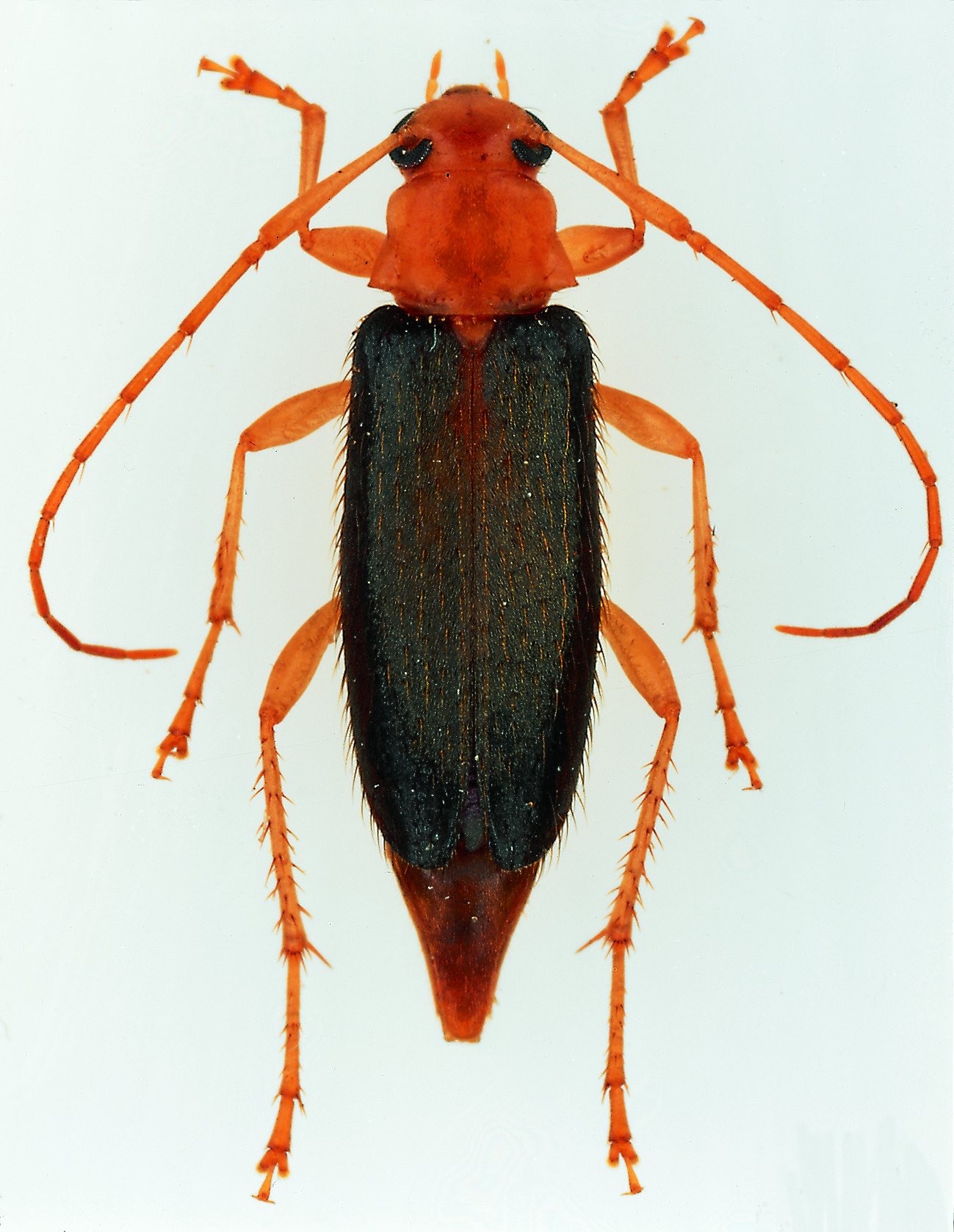
 Monne Tava coll Cayenne, French Guiana Tava pic.jpg)
Specimen Type: paratype Sex: m Institution: Tavakilian Collection Photographer: Gerard Tavakilian Collection Location: Cayenne, French Guiana 99342
|
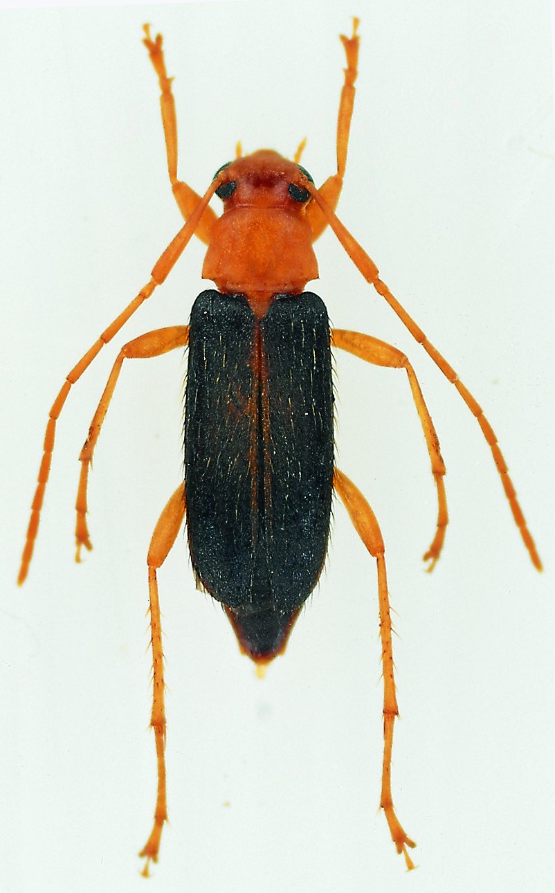
 Tava Monne Frenc Guiana Pierre Buirette pic.jpg)
Specimen Type: paratype Sex: m Institution: Tavakilian Collection Photographer: Pierre Buirette, L' Entomologiste Collection Location: Cayenne, French Guiana 99334
|

Specimen Type: lost in fire Institution: MNRJ Museu Nacional Universidade do Rio Janeiro, Brazil Photographer: Steve Lingafelter Determiner: Renan da Silva Olivier & Antonio Santos-Silva 13967
|
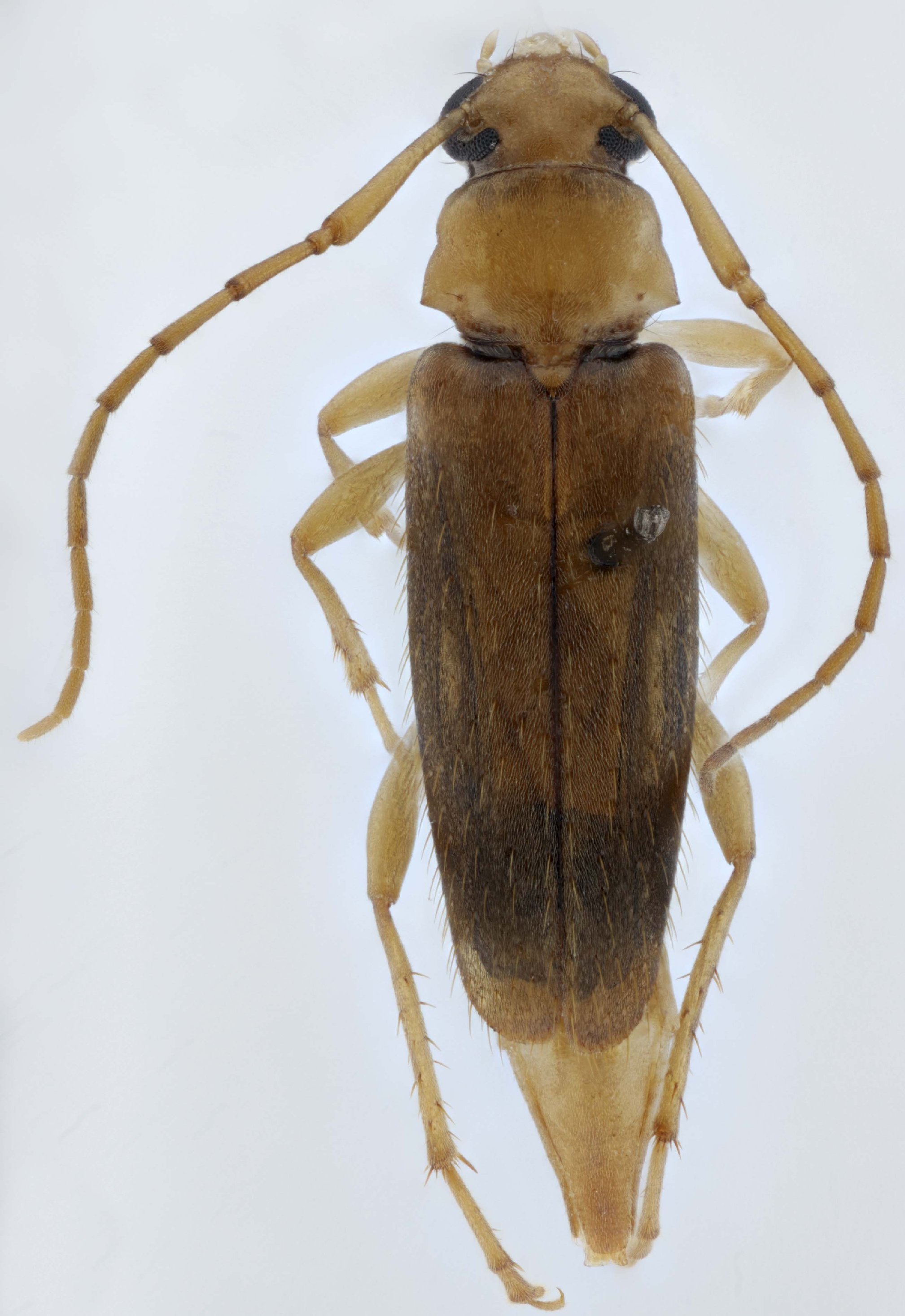
 Monne Tava coll Cayenne, French Guiana Tava pic.jpg)
Sex: f Institution: Tavakilian Collection Photographer: Gerard Tavakilian Collection Location: Cayenne, French Guiana 99343
|

Sex: f Institution: ZUFMS Coleção Zoológica da Universidade Federal de Mato Grosso do Sul, Brazil Photographer: Antonio Santos-Silva Collection Location: Corumba, Passo do Lontra, Mato Grosso do Sul, Brazil 101034
|

Sex: f Institution: ZUFMS Coleção Zoológica da Universidade Federal de Mato Grosso do Sul, Brazil Photographer: Antonio Santos-Silva Collection Location: Corumba, Passo do Lontra, Mato Grosso do Sul, Brazil 101035
|
|