 MUSM Cruz Grande vill, Piura reg, Huancabamba Prov, Peru Gino Juarez-Noe.jpg)
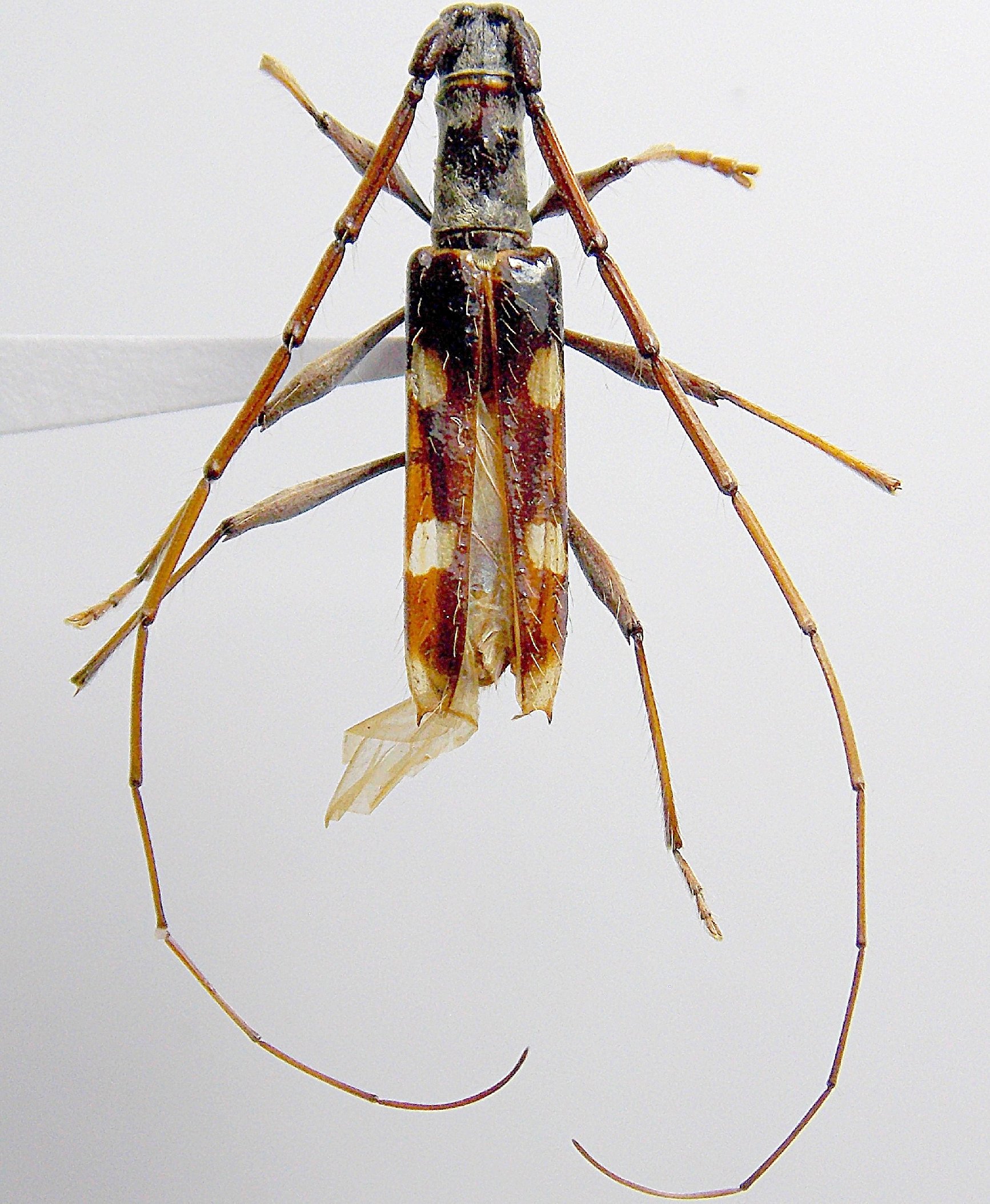
Specimen Type: holotype Sex: m Institution: MUSM Photographer: Gino Juarez-Noe Collection Location: Cruz Grande village, Piura reg, Huancabamba Prov, Peru 81220
|
 MUSM Cruz Grande vill, Piura reg, Huancabamba Prov, Peru Gino Juarez-Noe.jpg)
Specimen Type: holotype Sex: m Institution: MUSM Photographer: Gino Juarez-Noe Collection Location: Cruz Grande village, Piura reg, Huancabamba Prov, Peru 81221
|
 MUSM Cruz Grande vill, Piura reg, Huancabamba Prov, Peru Gino Juarez-Noe.jpg)
Specimen Type: holotype Sex: m Institution: MUSM Photographer: Gino Juarez-Noe Collection Location: Cruz Grande village, Piura reg, Huancabamba Prov, Peru 81222
|
|