 Bates BMNH Santo Domingo, Chontales, Nicaragua now Stenolis Moure.jpg)
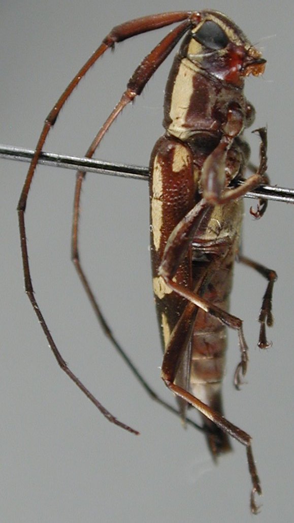
Nyssodrys polygramma Bates Specimen Type: lectotype Sex: m Institution: BMNH British Museum Natural History, London, UK Photographer: JS Moure Collection Location: Santo Domingo, Chontales, Nicaragua 100366
|
_Bates_BMNH_SantoDomingo_Chontales_Nic_nowStenolis_LGB.jpg)
Nyssodrys polygramma Bates Specimen Type: lectotype Sex: m Institution: BMNH British Museum Natural History, London, UK Photographer: Larry G. Bezark Collection Location: Santo Domingo, Chontales, Nicaragua 47106
|