_Monne_MNRJ_SWL.jpg)
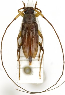
Pattalinus strigosus Monne Specimen Type: holotype Institution: MNRJ Museu Nacional Universidade do Rio Janeiro, Brazil Photographer: Steve Lingafelter 11820
|

Photographer: Jim Wappes Collection Location: Bolivia 11821
|

Photographer: Jim Wappes Collection Location: Bolivia 11822
|

Photographer: Denis Faure Collection Location: French Guiana 29215
|

Photographer: Jean-Louis Giuglaris Collection Location: Belizon, French Guiana 29216
|