New Search Family, Subfamily and Tribe List

SubFamily Lamiinae

Tribe Acanthocinini
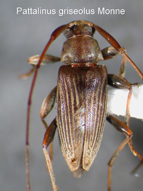
Paroecus griseolus (Monné, 1988)

Pattalinus griseolus Monne
Specimen Type: holotype
Institution: MNRJ Museu Nacional Universidade do Rio Janeiro, Brazil
Photographer: Steve Lingafelter
11813


Photographer: Jim Wappes
Collection Location: Bolivia
11814

130425