
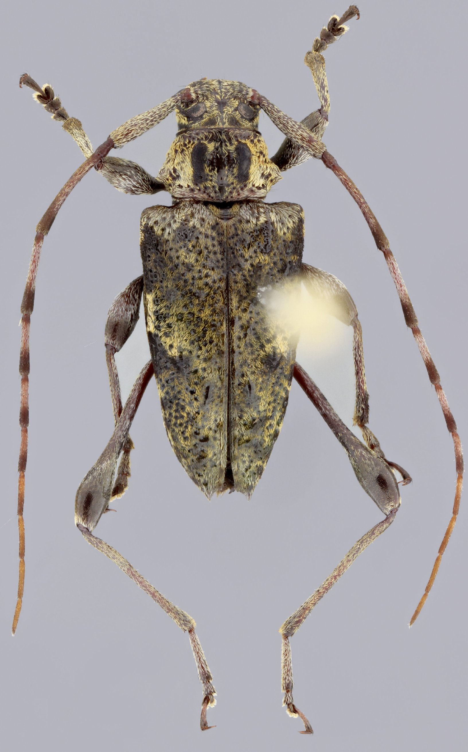
Institution: LGBC Larry G. Bezark Collection, Sacramento, California, USA Photographer: Larry G. Bezark Collection Location: 4 km NW St Elena, Puntarenas, Costa Rica 37531
|

11725
|
_Monne_Martins_MZSP_Mt_Totumas_vicVolcan_Chiriqui_Panama_SS.jpg)
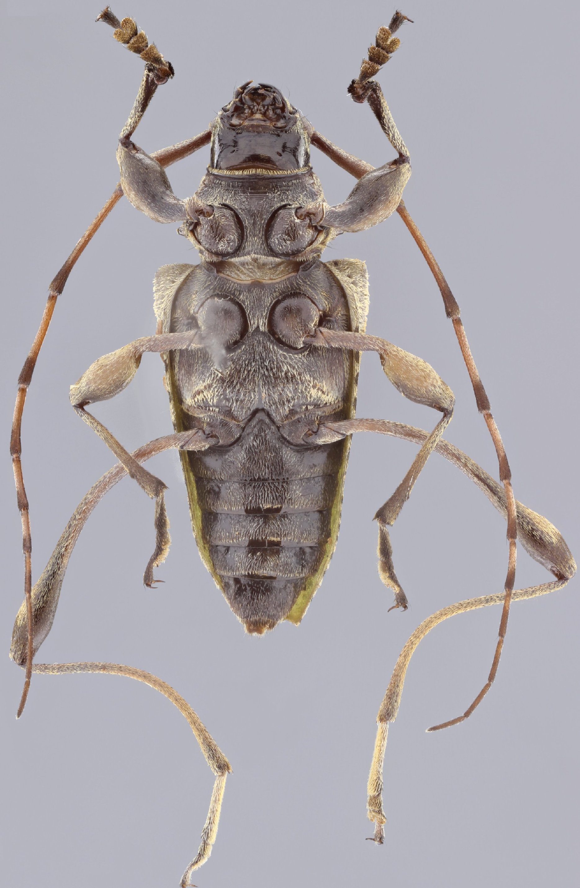
Sex: m Institution: MZSP Museu de Zoologia da Universidade de São Paulo, Brazil Photographer: Antonio Santos-Silva Collection Location: Mt Totumas, vic Volcan, Chiriqui, Panama 69284
|
_Monne_Martins_MZSP_Mt_Totumas_vicVolcan_Chiriqui_Panama_SS.jpg)
Sex: m Institution: MZSP Museu de Zoologia da Universidade de São Paulo, Brazil Photographer: Antonio Santos-Silva Collection Location: Mt Totumas, vic Volcan, Chiriqui, Panama 69285
|
_Monne_Martins_MZSP_Mt_Totumas_vicVolcan_Chiriqui_Panama_SS.jpg)
Sex: m Institution: MZSP Museu de Zoologia da Universidade de São Paulo, Brazil Photographer: Antonio Santos-Silva Collection Location: Mt Totumas, vic Volcan, Chiriqui, Panama 69286
|
_Monne_Martins_MZSP_Mt_Totumas_vicVolcan_Chiriqui_Panama_SS.jpg)
Sex: m Institution: MZSP Museu de Zoologia da Universidade de São Paulo, Brazil Photographer: Antonio Santos-Silva Collection Location: Mt Totumas, vic Volcan, Chiriqui, Panama 69287
|
_Monne_Martins_MZSP_Mt_Totumas_vicVolcan_Chiriqui_Panama_SS.jpg)
Sex: m Institution: MZSP Museu de Zoologia da Universidade de São Paulo, Brazil Photographer: Antonio Santos-Silva Collection Location: Mt Totumas, vic Volcan, Chiriqui, Panama 69288
|
_Monne_Martins_MZSP_Mt_Totumas_vicVolcan_Chiriqui_Panama_SS.jpg)
Sex: f Institution: MZSP Museu de Zoologia da Universidade de São Paulo, Brazil Photographer: Antonio Santos-Silva Collection Location: Mt Totumas, vic Volcan, Chiriqui, Panama 69289
|
|