_Bates_MNHN_FTH.jpg)
Ozineus doctus Bates Specimen Type: syntype Institution: MNHN Museum of Natural History Paris, France Collection Location: Obidos and Para, Para, Brazil 17973
|
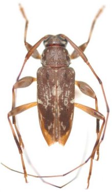
 Bates MNHN Para, Brazil now Sternacut Moure.jpg)
Ozineus doctus Bates Specimen Type: syntype Institution: MNHN Museum of Natural History Paris, France Photographer: JS Moure Collection Location: Para, Brazil 100399
|