 Bates MNHN Amazonas or Para, Brazil now drystern Moure.jpg)
Nyssodrys propinqua Bates Specimen Type: syntype Institution: MNHN Museum of Natural History Paris, France Photographer: JS Moure Collection Location: Amazonas or Para, Brazil 100368
|
 Bates MNHN Amazonas or Para, Brazil now drystern Moure.jpg)
Nyssodrys propinqua Bates Specimen Type: syntype Institution: MNHN Museum of Natural History Paris, France Photographer: JS Moure Collection Location: Amazonas or Para, Brazil 100369
|
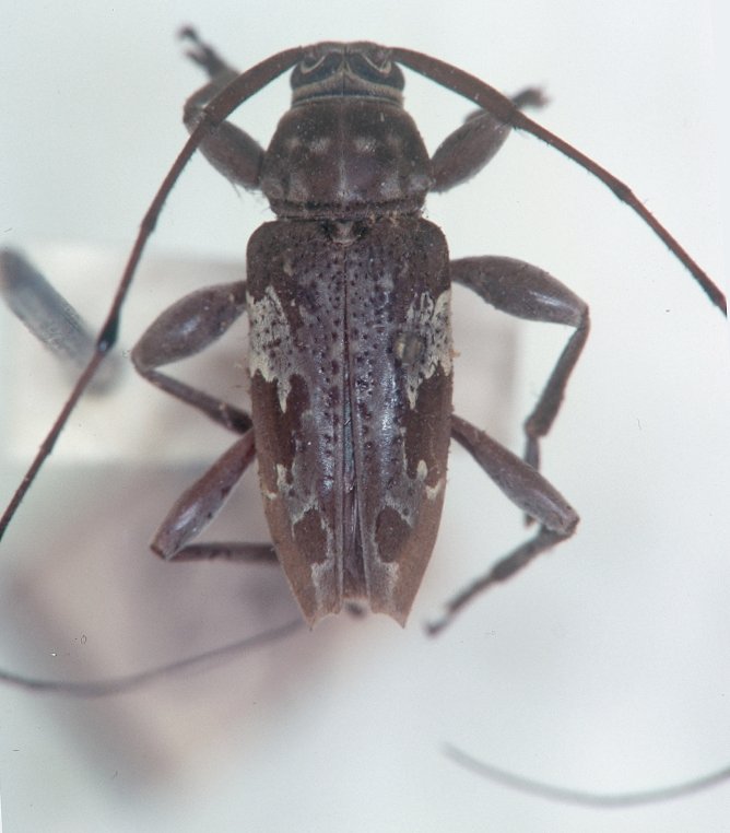
_Bates_MNHN_FTH_=_Nyssodrysternum_propinquum.jpg)
Nyssodrys propinqua Bates Specimen Type: syntype Institution: MNHN Museum of Natural History Paris, France 17569
|
_Det_Tavakilian_French_Guiana_UCB.jpg)
Institution: UCB Essig Museum of Entomology, Berkeley, California, USA Photographer: Larry G. Bezark Determiner: Tavakilian Collection Location: French Guiana 10748
|
_Faure_French_Guiana.jpg)
Photographer: Denis Faure Collection Location: French Guiana 22141
|
_Bates_BMNH_Hespenheide_FTH_Para_Brazil_=_Nyssodrysternum_propinquum.jpg)
Nyssodrys propinqua Bates Institution: BMNH British Museum Natural History, London, UK Photographer: Henry Hespenheide Collection Location: Para, Brazil 17568
|
|