 Gilmour NHMB Trinidad, West Indies Carlos Taboada-Verona.jpg)
Nyssodrystes freyorum Gilmour Specimen Type: holotype Sex: f Institution: NHMB Naturhistorisches Museum, Basel, Switzerland Photographer: C. Germann Collection Location: Trinidad, West Indies 98836
|
 Gilmour NHMB Trinidad, West Indies Carlos Taboada-Verona.jpg)
Nyssodrystes freyorum Gilmour Specimen Type: holotype Sex: f Institution: NHMB Naturhistorisches Museum, Basel, Switzerland Photographer: C. Germann Collection Location: Trinidad, West Indies 98837
|
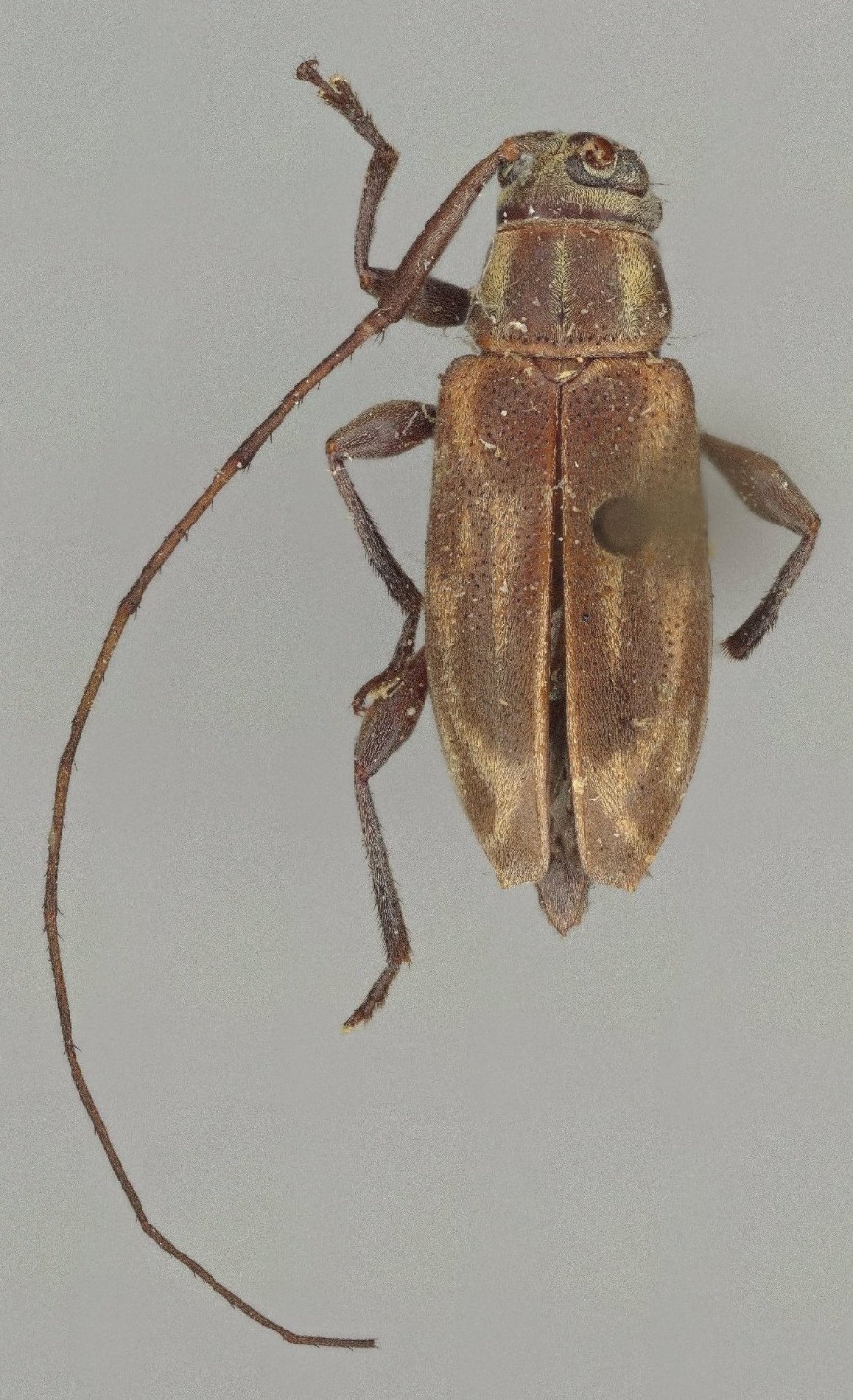
 Gilmour NHMB Trinidad, West Indies Carlos Taboada-Verona.jpg)
Nyssodrystes freyorum Gilmour Specimen Type: holotype Sex: f Institution: NHMB Naturhistorisches Museum, Basel, Switzerland Photographer: C. Germann Collection Location: Trinidad, West Indies 98838
|
 Gilmour NHMB Trinidad, West Indies Carlos Taboada-Verona.jpg)
Nyssodrystes freyorum Gilmour Specimen Type: holotype Sex: f Institution: NHMB Naturhistorisches Museum, Basel, Switzerland Photographer: C. Germann Collection Location: Trinidad, West Indies 98839
|
_Gilmour_Trinidad_Gilmour_1963_=_Nyssodrysternum.jpg)
Nyssodrystes freyorum Gilmour Specimen Type: holotype Sex: f Institution: NHMB Naturhistorisches Museum, Basel, Switzerland Collection Location: Trinidad 23098
|
|