New Search Family, Subfamily and Tribe List

SubFamily Cerambycinae

Tribe Callidiopini
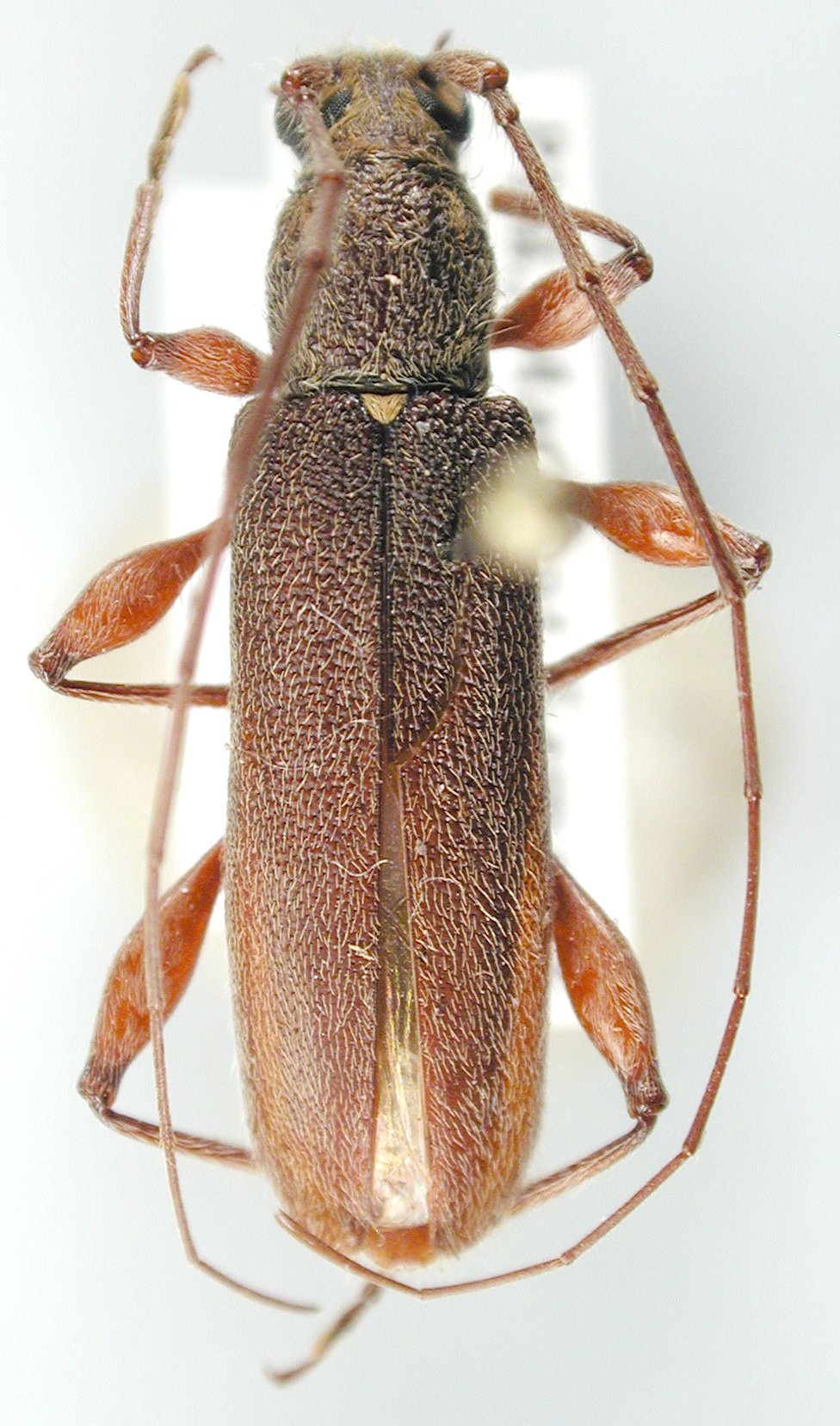
Examnes subvermiculatus Yokoi, Makihara & Noerdjito 2019

Institution: JCPC Jim Cope Collection, San Jose, California, USA now at CSCA, Sacramento
Photographer: Larry G. Bezark
Determiner: Jim Cope
Collection Location: Marabat, E Visayas, Samar, Philippines
98530

130425