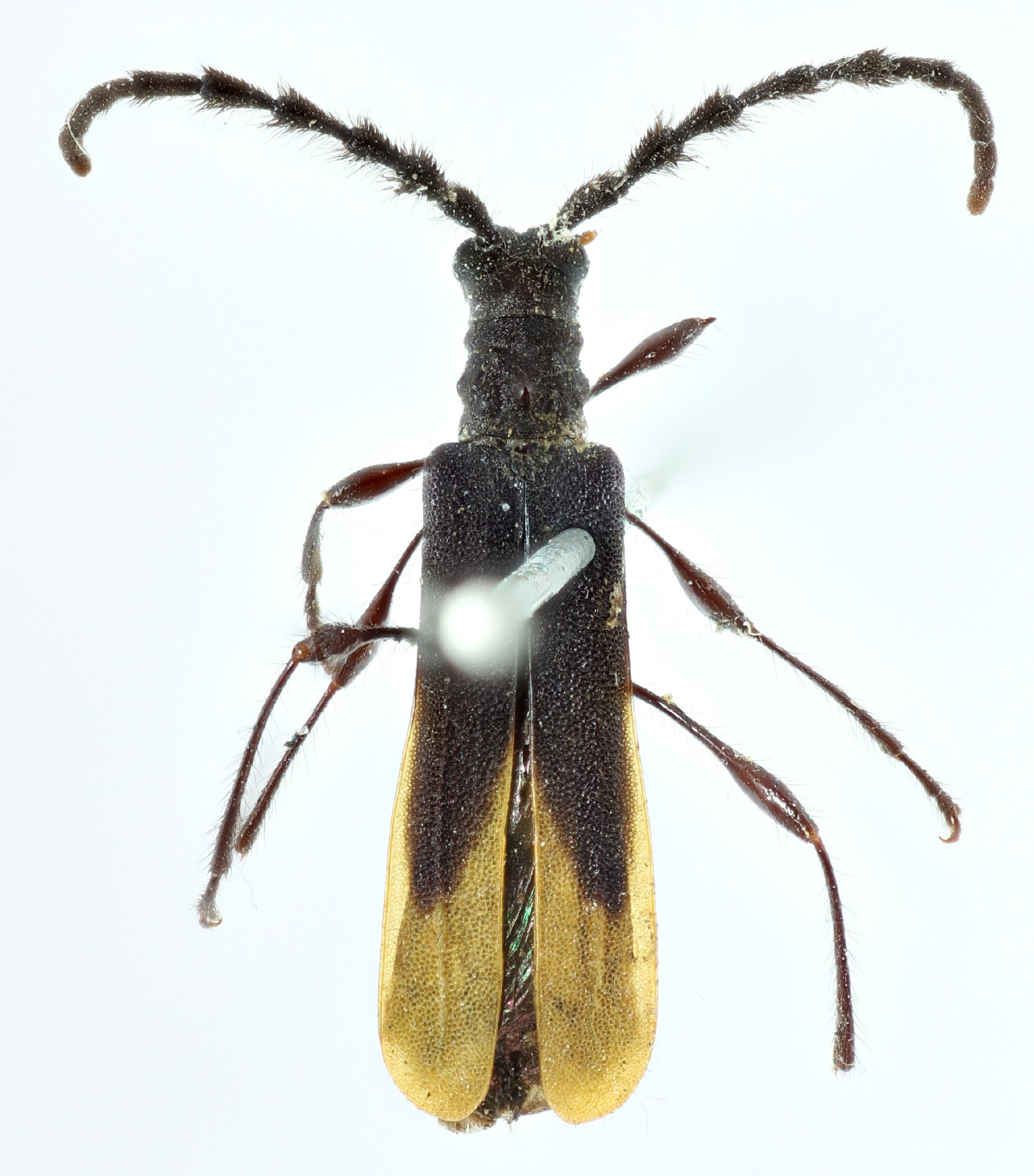
 Chem Lins BMNH Chiguinda, Morona-Santiago, Ecuador KM.jpg)
Specimen Type: holotype Sex: f Institution: BMNH British Museum Natural History, London, UK Photographer: Keita Matsumoto Collection Location: Chiguinda, Morona-Santiago, Ecuador 75896
|
 Chem Lins BMNH Chiguinda, Morona-Santiago, Ecuador KM.jpg)
Specimen Type: holotype Sex: f Institution: BMNH British Museum Natural History, London, UK Photographer: Keita Matsumoto Collection Location: Chiguinda, Morona-Santiago, Ecuador 75897
|
 Chem Lins BMNH Chiguinda, Morona-Santiago, Ecuador KM.jpg)
Specimen Type: holotype Sex: f Institution: BMNH British Museum Natural History, London, UK Photographer: Keita Matsumoto Collection Location: Chiguinda, Morona-Santiago, Ecuador 75898
|
_Chemsak_and_Linsley_Peru_Pan_Pac_Ent.jpg)
Specimen Type: holotype Sex: f Institution: BMNH British Museum Natural History, London, UK Collection Location: Chiguinda, Morona-Santiago, Ecuador 22084
|
 Martins & Napp IAHC Iguaque, Boyaca, Colombia.jpg)
Specimen Type: holotype Sex: m Institution: IAHC Instituto de Investigaciones
de Recursos Biológicos “Alexander von Humboldt” Collection Location: Iguaque, Boyaca, Colombia 22190
|
_Mart_and_Napp_MZSP_Iguaque_Boyaca_Colombia.jpg)
Abaiba dimorpha Martins & Napp Specimen Type: paratype Sex: f Institution: MZSP Museu de Zoologia da Universidade de São Paulo, Brazil Photographer: Larry G. Bezark Collection Location: Iguaque, Boyaca, Colombia 33024
|
 M Napp MZSP La Planada, Iguaque, Boyaca, Colombia now Methicula SS.jpg)
Abaiba dimorphica Napp & Martins Specimen Type: paratype Sex: f Institution: MZSP Museu de Zoologia da Universidade de São Paulo, Brazil Photographer: Antonio Santos-Silva Collection Location: La Planada, Iguaque, Boyaca, Colombia 90434
|
 M Napp MZSP La Planada, Iguaque, Boyaca, Colombia now Methicula SS.jpg)
Abaiba dimorphica Napp & Martins Specimen Type: paratype Sex: f Institution: MZSP Museu de Zoologia da Universidade de São Paulo, Brazil Photographer: Antonio Santos-Silva Collection Location: La Planada, Iguaque, Boyaca, Colombia 90435
|
 M Napp MZSP La Planada, Iguaque, Boyaca, Colombia now Methicula SS.jpg)
Abaiba dimorphica Napp & Martins Specimen Type: paratype Sex: f Institution: MZSP Museu de Zoologia da Universidade de São Paulo, Brazil Photographer: Antonio Santos-Silva Collection Location: La Planada, Iguaque, Boyaca, Colombia 90436
|
 M Napp MZSP La Planada, Iguaque, Boyaca, Colombia now Methicula SS.jpg)
Abaiba dimorphica Napp & Martins Specimen Type: paratype Sex: f Institution: MZSP Museu de Zoologia da Universidade de São Paulo, Brazil Photographer: Antonio Santos-Silva Collection Location: La Planada, Iguaque, Boyaca, Colombia 90437
|
_Mart_Napp_MZSP_SS.jpg)
Abaiba dimorphica Martins & Napp Specimen Type: paratype Sex: m Institution: MZSP Museu de Zoologia da Universidade de São Paulo, Brazil Photographer: Antonio Santos-Silva Collection Location: Iguaque, Boyaca, Colombia 61078
|
 M Napp MZSP La Planada, Iguaque, Boyaca, Colombia now Methicula SS.jpg)
Abaiba dimorphica Napp & Martins Specimen Type: paratype Sex: m Institution: MZSP Museu de Zoologia da Universidade de São Paulo, Brazil Photographer: Antonio Santos-Silva Collection Location: La Planada, Iguaque, Boyaca, Colombia 90438
|
|