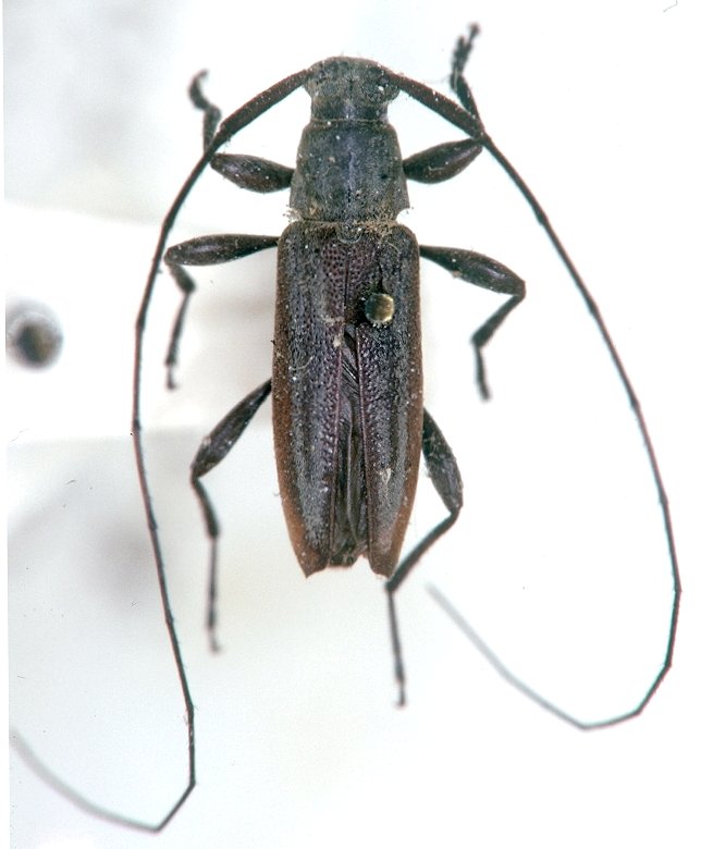
_Bates_MNHN_FTH.jpg)
Specimen Type: syntype Institution: MNHN Museum of Natural History Paris, France 17142
|
 Bates MZSP Caracarai, Vila Caicubi, Roraima, Brazil SS.jpg)
Specimen Type: syntype Sex: m Institution: MZSP Museu de Zoologia da Universidade de São Paulo, Brazil Photographer: Antonio Santos-Silva Collection Location: Caracarai, Vila Caicubi, Roraima, Brazil 89977
|
 Bates MNHN Tefe Ega, Para, Brazil Moure.jpg)
Specimen Type: syntype Institution: MNHN Museum of Natural History Paris, France Photographer: JS Moure Collection Location: Tefe (Originally Ega), Amazonas, Brazil 100282
|

Institution: MNRJ Museu Nacional Universidade do Rio Janeiro, Brazil Photographer: Steve Lingafelter 9261
|
|