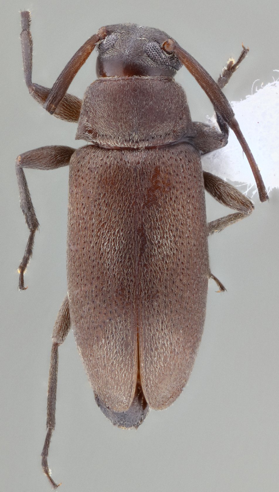
_Monne_MNRJ_SWL.jpg)
Specimen Type: holotype Sex: m Institution: MNRJ Museu Nacional Universidade do Rio Janeiro, Brazil Photographer: Steve Lingafelter Collection Location: Pirapora, Minas Gerais, Brazil 9201
|
 Monne MEFEIS Selviria UNESP Farm, Mato Grosso do Sul, Brazil SS.jpg)
Sex: f Institution: MEFE Museu de Ent da Faculdade de Engenharia de Ilha Solteira, Univ Estadual, Sao Paolo, Brazil Photographer: Antonio Santos-Silva Collection Location: Selviria UNESP Farm, Mato Grosso do Sul, Brazil 80995
|