_Horn_MCZ_=_Methia.jpg)
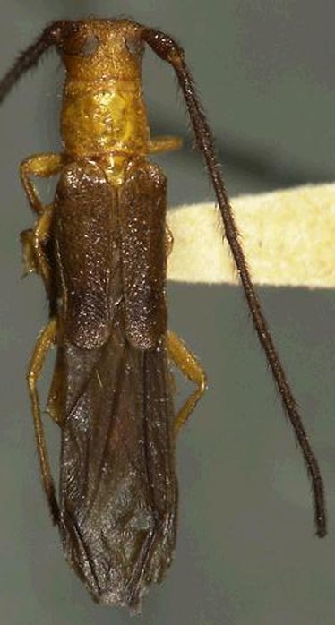
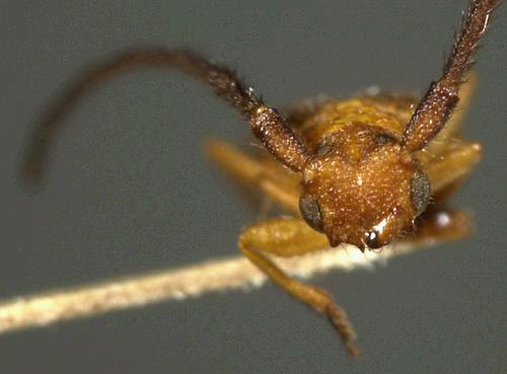
Dysphaga bicolor Horn Specimen Type: holotype Institution: MCZ Museum of Comparative Zoology, Harvard University, Cambridge, MA, USA Photographer: P. Naskrecki, P. Perkins, and B. Farrell 925
|
_Horn_MCZ_=_Methia.jpg)
Dysphaga bicolor Horn Specimen Type: holotype Institution: MCZ Museum of Comparative Zoology, Harvard University, Cambridge, MA, USA Photographer: P. Naskrecki, P. Perkins, and B. Farrell 926
|
_Horn_MCZ_=_Methia.jpg)
Dysphaga bicolor Horn Specimen Type: holotype Institution: MCZ Museum of Comparative Zoology, Harvard University, Cambridge, MA, USA Photographer: P. Naskrecki, P. Perkins, and B. Farrell 927
|
_Horn_MCZ_=_Methia.jpg)
Dysphaga bicolor Horn Specimen Type: holotype Institution: MCZ Museum of Comparative Zoology, Harvard University, Cambridge, MA, USA Photographer: P. Naskrecki, P. Perkins, and B. Farrell 928
|
|