New Search Family, Subfamily and Tribe List

SubFamily Cerambycinae

Tribe Methiini
Methia aestiva Fall 1907

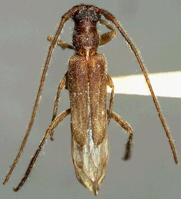
Methia fragilis Linsley
Specimen Type: holotype
Sex: m
Institution: CAS California Academy of Sciences, San Francisco, CA, USA
Photographer: Larry G. Bezark
Collection Location: Santa Ana Canyon, Orange County, California
23014


Specimen Type: syntype
Institution: MCZ Museum of Comparative Zoology, Harvard University, Cambridge, MA, USA
Photographer: P. Naskrecki, P. Perkins, and B. Farrell
Collection Location: Pasadena, California
1925


Specimen Type: syntype
Institution: MCZ Museum of Comparative Zoology, Harvard University, Cambridge, MA, USA
Photographer: P. Naskrecki, P. Perkins, and B. Farrell
Collection Location: Pasadena, California
1927


Specimen Type: syntype
Institution: MCZ Museum of Comparative Zoology, Harvard University, Cambridge, MA, USA
Photographer: P. Naskrecki, P. Perkins, and B. Farrell
Collection Location: Pasadena, California
1928


Specimen Type: syntype
Institution: MCZ Museum of Comparative Zoology, Harvard University, Cambridge, MA, USA
Photographer: P. Naskrecki, P. Perkins, and B. Farrell
Collection Location: Pasadena, California
1929


Photographer: Larry G. Bezark
3442

130425