New Search Family, Subfamily and Tribe List

SubFamily Cerambycinae

Tribe Methiini
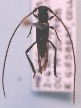
Coleomethia mexicana Chemsak & Linsley 1964

Institution: FTH Frank T. Hovore collection (now at California Academy of Sciences)
Photographer: Larry G. Bezark
5800

130425