 Bates MNHN Tefe (originally Ega), Amazonas, Brazil Moure.jpg)
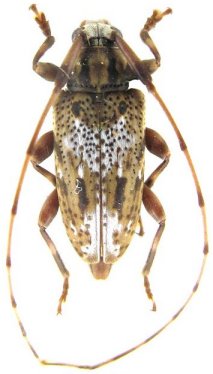
Specimen Type: holotype Sex: f Institution: MNHN Museum of Natural History Paris, France Photographer: JS Moure Collection Location: Tefe (originally Ega), Amazonas, Brazil 95384
|
_Bates_MNHN_FTH.jpg)
Specimen Type: holotype Sex: f Institution: MNHN Museum of Natural History Paris, France Collection Location: Tefe (originally Ega), Amazonas, Brazil 15364
|