_Martins_IZFAM_Maracay_Aragua_Venezuela.jpg)
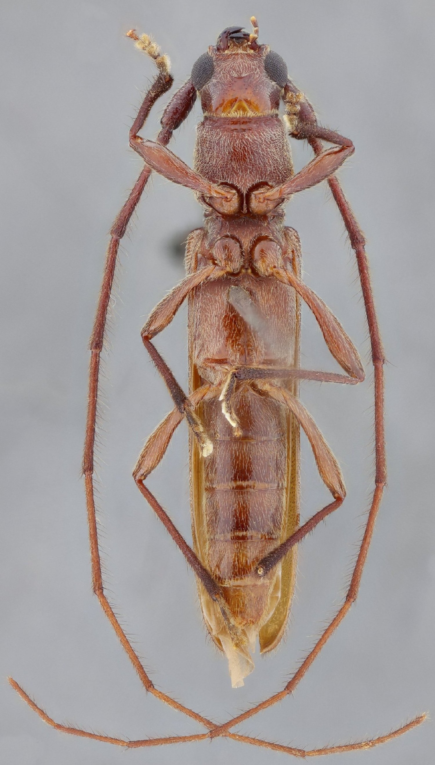
Sepiacutea unicolor Martins Specimen Type: holotype Sex: m Institution: IZAFM Instituto de Zoología Agrícola, Faculdad de Agronomía de Maracay, Venezuela Photographer: Larry G. Bezark Collection Location: Maracay, Aragua, Venezuela 33824
|
 (Martins) MZSP Venezuela SS.jpg)
Sex: f Institution: MZSP Museu de Zoologia da Universidade de São Paulo, Brazil Photographer: Antonio Santos-Silva Collection Location: Venezuela 90493
|
 (Martins) MZSP Venezuela SS.jpg)
Sex: m Institution: MZSP Museu de Zoologia da Universidade de São Paulo, Brazil Photographer: Antonio Santos-Silva Collection Location: Venezuela 90494
|
 (Martins) MZSP Venezuela SS.jpg)
Sex: m Institution: MZSP Museu de Zoologia da Universidade de São Paulo, Brazil Photographer: Antonio Santos-Silva Collection Location: Venezuela 90495
|
 (Martins) MZSP Venezuela SS.jpg)
Sex: m Institution: MZSP Museu de Zoologia da Universidade de São Paulo, Brazil Photographer: Antonio Santos-Silva Collection Location: Venezuela 90496
|
 (Martins) MZSP Venezuela SS.jpg)
Sex: m Institution: MZSP Museu de Zoologia da Universidade de São Paulo, Brazil Photographer: Antonio Santos-Silva Collection Location: Venezuela 90497
|

Determiner: S American Cerambycidae Supplement 1 55609
|