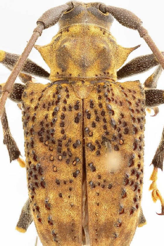
_Br_CNC_Entebbe_Uganda_Eudryoctenes_Laplante.jpg)
Endryoctenes spinipennis Breuning Specimen Type: holotype Institution: CNC Canadian National Collection of Insects, Ottawa, Ontario, Canada Photographer: Serge Laplante, photograph and data Determiner: Copyright of
Agriculture & Agri Food Canada Collection Location: Entebbe, Uganda 63151
|
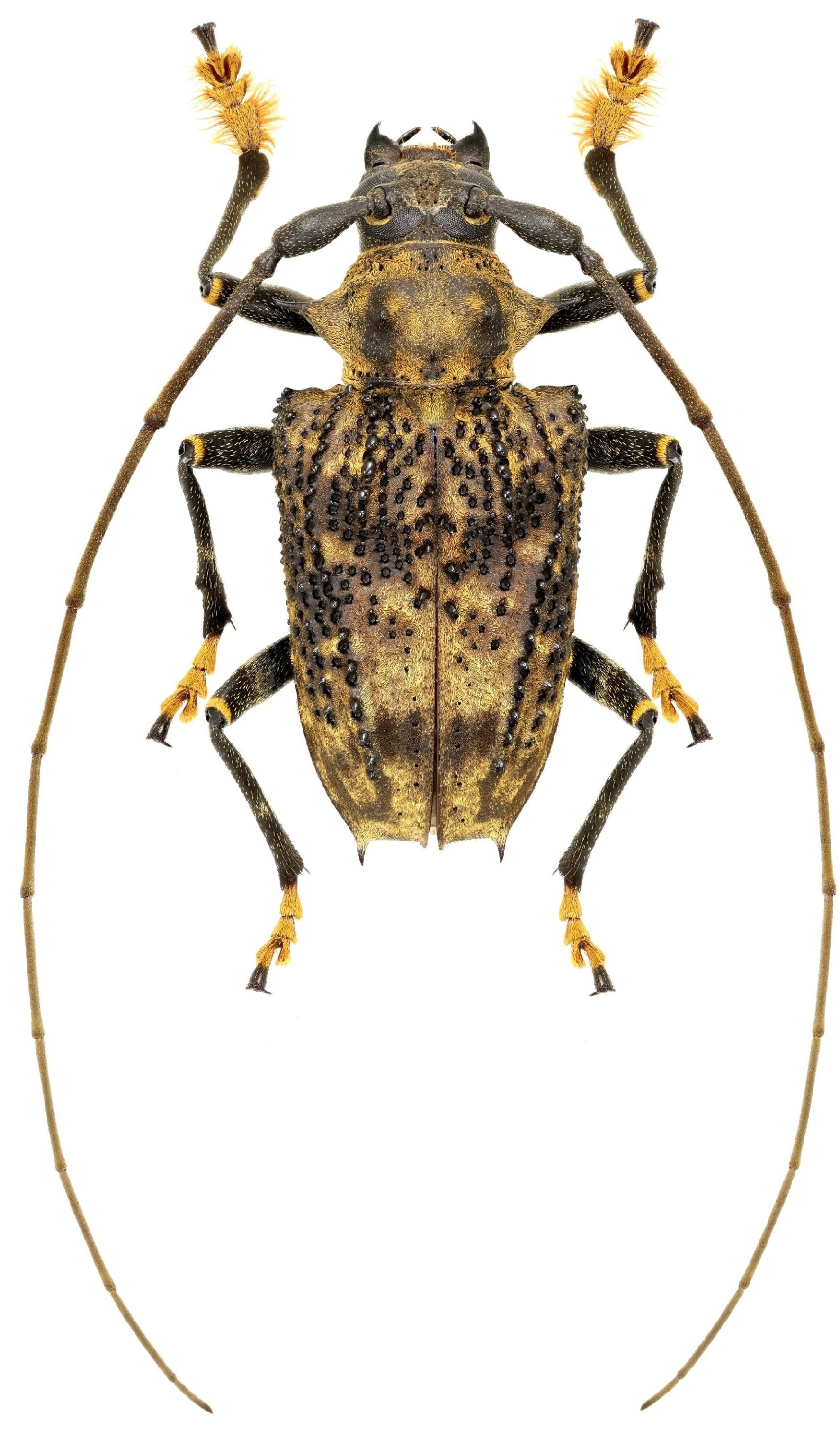
_Br_CNC_Entebbe_Uganda_Eudryoctenes_Laplante.jpg)
Endryoctenes spinipennis Breuning Specimen Type: holotype Institution: CNC Canadian National Collection of Insects, Ottawa, Ontario, Canada Photographer: Serge Laplante, photograph and data Determiner: Copyright of
Agriculture & Agri Food Canada Collection Location: Entebbe, Uganda 63152
|
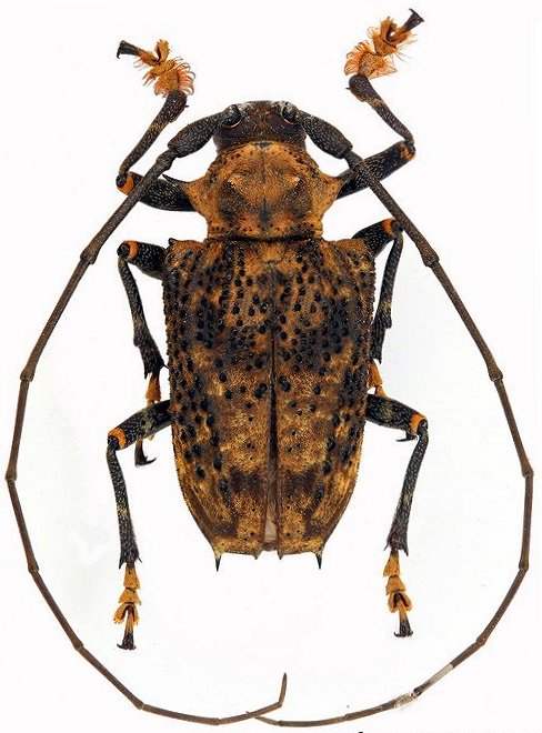
_Br_CNC_Entebbe_Uganda_Eudryoctenes_Laplante.jpg)
Endryoctenes spinipennis Breuning Specimen Type: holotype Institution: CNC Canadian National Collection of Insects, Ottawa, Ontario, Canada Photographer: Serge Laplante, photograph and data Determiner: Copyright of
Agriculture & Agri Food Canada Collection Location: Entebbe, Uganda 63153
|
_Br_CNC_Entebbe_Uganda_Eudryoctenes_Laplante.jpg)
Endryoctenes spinipennis Breuning Specimen Type: holotype Institution: CNC Canadian National Collection of Insects, Ottawa, Ontario, Canada Photographer: Serge Laplante, photograph and data Determiner: Copyright of
Agriculture & Agri Food Canada Collection Location: Entebbe, Uganda 63154
|
_Br_CNC_Entebbe_Uganda_Eudryoctenes_Laplante.jpg)
Endryoctenes spinipennis Breuning Specimen Type: holotype Institution: CNC Canadian National Collection of Insects, Ottawa, Ontario, Canada Photographer: Serge Laplante, photograph and data Determiner: Copyright of
Agriculture & Agri Food Canada Collection Location: Entebbe, Uganda 63155
|
_(no_type_designated)_Bates_MNHN_Tav.jpg)
Polyrhaphis paraensis Bates Specimen Type: holotype Institution: MNHN Museum of Natural History Paris, France Photographer: Gerard Tavakilian 18293
|
_Det_Chemsak_French_Guiana_UCB.jpg)
Institution: UCB Essig Museum of Entomology, Berkeley, California, USA Photographer: Larry G. Bezark Determiner: Chemsak Collection Location: French Guiana 12433
|

Institution: UCB Essig Museum of Entomology, Berkeley, California, USA Photographer: Larry G. Bezark Collection Location: Napo, Ecuador 12436
|
_Kaw_FG_JLG.jpg)
Sex: mf Photographer: Jean-Louis Giuglaris Collection Location: Belizon, French Guiana 29268
|
_(Olivier)_SS.jpg)
Sex: m Photographer: Antonio Santos-Silva 29665
|
_(Olivier)_SS.jpg)
Sex: m Photographer: Antonio Santos-Silva 29666
|
 Olivier Montage de Kaw, Roura, French Guiana Robin.jpg)
Sex: m Photographer: Frédéric Robin Collection Location: Montage de Kaw, Roura, French Guiana 21148
|
_Faure_French_Guiana.jpg)
Photographer: Denis Faure Collection Location: French Guiana 23680
|

Photographer: Jim Wappes Collection Location: Bolivia 12435
|

Polyrhaphis paraensis Bates Institution: BCA Biologia Centrali Americana Collection Location: Para, Brazil 12434
|
_Bates_BMNH_Hespenheide_FTH.jpg)
Polyrhaphis paraensis Bates Institution: BMNH British Museum Natural History, London, UK Photographer: Henry Hespenheide 18294
|
_(Olivier)_SS.jpg)
Sex: f Photographer: Antonio Santos-Silva 29664
|